El huracán ya causó estragos en Puerto Rico, con al menos cuatro muertos y cortes masivos en el suministro eléctrico, y en República Dominicana

  • Fiona se dirige hacia las Bermudas, adonde se espera que llegue el jueves.

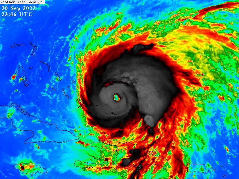
Estados Unidos (Marcrix Noticias).- El huracán Fiona fue elevado a la categoría 4 este miércoles, al avanzar desde las islas Turcas y Caicos hacia el archipiélago de las Bermudas, anunció el Centro Nacional de Huracanes (NHC) de Estados Unidos.

Según el Centro, los vientos son en este momento de hasta 210 km/h, a medida que Fiona se dirige hacia las Bermudas, adonde se espera que llegue el jueves.

El huracán ya causó estragos en Puerto Rico, con al menos cuatro muertos y cortes masivos en el suministro eléctrico, y en República Dominicana, donde han perdido la vida dos personas, según autoridades locales.   

Con información de AFP

Leave a Reply

Your email address will not be published. Required fields are marked *

No puedes copiar el contenido de esta página