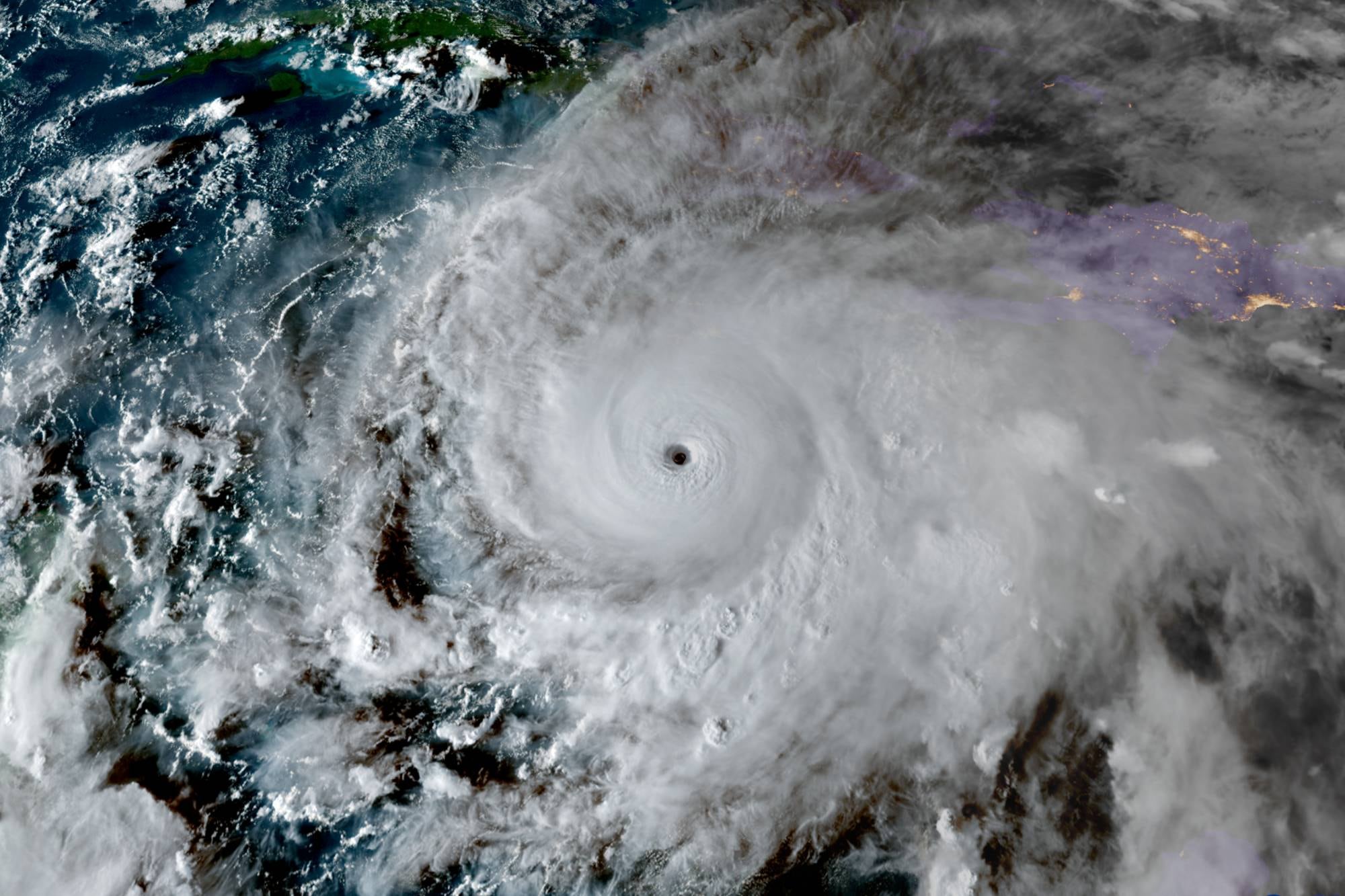
Satélites captaron los relámpagos dentro del ojo del Huracán, un fenómeno que confirma la fuerza del sistema con vientos de más de 250 km/h.
Jamaica (Marcrix Noticias).- Durante la madrugada de este lunes, satélites meteorológicos internacionales, registraron impresionantes imágenes del huracán Melissa, cuyos potentes relámpagos iluminaron el interior de su ojo, un fenómeno inusual que evidencia la extrema fuerza del sistema, actualmente de categoría 5 en la escala Saffir-Simpson.
El poderoso huracán se localiza al sur de Jamaica, con vientos sostenidos superiores a los 250 kilómetros por hora y una presión central muy baja, lo que confirma su máxima intensificación.
De acuerdo con especialistas del Centro Nacional de Huracanes (NHC), los relámpagos dentro del ojo de un ciclón tropical son eventos raros que reflejan una actividad convectiva extrema y un proceso de fortalecimiento rápido.
Las imágenes captadas por sensores satelitales muestran cómo los destellos eléctricos se concentran en el anillo del ojo, iluminando las nubes del vórtice principal durante varios minutos.
Expertos señalan que este tipo de comportamiento ocurre cuando hay un incremento súbito en la temperatura de las aguas oceánicas y una interacción muy intensa entre las capas atmosféricas del sistema.
Aunque Melissa no representa peligro para la Península de Yucatán, el Servicio Meteorológico Nacional (SMN) mantiene el monitoreo constante de su trayectoria y evolución, debido a su cercanía con el Caribe occidental y la posibilidad de que sus bandas nubosas generen lluvias intermitentes en el sur del país.
Autoridades de Protección Civil recomendaron mantenerse atentos a los avisos oficiales y evitar la difusión de rumores, ya que, pese a su intensidad, el fenómeno se mantiene alejado del territorio mexicano.
‘Melissa’ se ha convertido en uno de los huracanes más potentes de la actual temporada del Atlántico, confirmando el incremento en la actividad ciclónica pronosticado para 2025.
