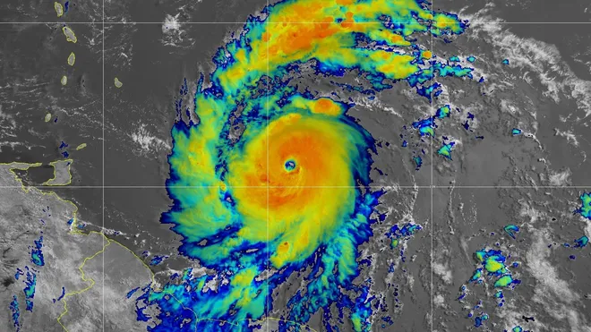
El huracán llegó este lunes al sur de las islas de Barlovento como un poderoso huracán categoría 4
Mérida (Marcrix Noticias).- Autoridades de Yucatán anunciaron que fue emitida la Alerta Azul para los 106 municipios de la entidad, ante la posible llegada del huracán “Beryl”.
Según el Sistema de Alerta Temprana para Ciclones Tropicales lo anterior ocurre cuando ya se formó un ciclón tropical, aunque representa peligro mínimo.
El gobernador de Yucatán, Mauricio Vila, emitió las siguientes recomendaciones a la población de dichos municipios ante dicho aviso por “Beryl”.
Revisa el estado de puertas, ventanas y techos.
Ten a mano un radio, lámpara, baterías de reserva y botiquín de primeros auxilios.
Almacena una provisión de alimentos básicos no perecederos y agua para al menos cuatro días.
El mandatario estatal pidió a los ciudadanos mantenerse informados por medio de canales oficiales sobre los los avances de este fenómeno meteorológico.
El “extremadamente peligroso” huracán “Beryl” llegó este lunes al sur de las islas de Barlovento como un poderoso huracán categoría 4 con vientos y marejada ciclónica “potencialmente mortales”, informó el Centro Nacional de Huracanes (NHC, en inglés) de Estados Unidos.
La agencia federal señaló en una actualización de su más reciente boletín que la pared del ojo del huracán, con vientos máximos sostenidos de 240 kilómetros por hora, tocó tierra sobre la isla Cariobacú.
El NHC urgió a los residentes en las Islas Granadinas y la isla Cariobacú a no abandonar sus refugios ya que los vientos de Beryl, el primer huracán de la temporada atlántica, aumentarán rápidamente dentro de la pared del ojo del ciclón.
El Servicio Meteorológico Nacional (SMN) prevé que dicho ciclón, que de momento no representa peligro para territorio mexicano, impacta dos veces en el país: como huracán de categoría 1 o 2 en la Península de Yucatán y el segundo como en los límites de Veracruz y Tamaulipas, como huracán categoría 1 para el domingo o el lunes.
