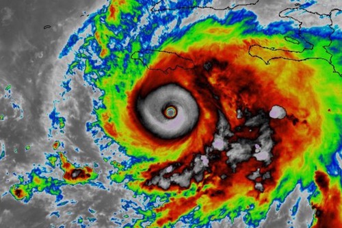
Los vientos sostenidos superan los 280 km/h mientras el país activa refugios y evacuaciones; el impacto directo se prevé entre las 11 a.m. y la 1 p.m. hora local.
Kingston, Jamaica (Marcrix Noticias).— El huracán Melissa, de categoría 5, avanza inexorablemente hacia Jamaica con vientos sostenidos de hasta 175 millas por hora (280 km/h), en lo que ya se perfila como uno de los eventos meteorológicos más destructivos de los últimos años en el Caribe. El ojo del huracán se encuentra a pocas decenas de kilómetros de la costa sur y podría tocar tierra entre las 11 p.m. y la 1 p.m. (hora local), según el Centro Nacional de Huracanes de Estados Unidos.
Desde la madrugada, las bandas exteriores del sistema comenzaron a azotar la isla con lluvias torrenciales y ráfagas violentas, provocando cortes de electricidad, anegamientos y la evacuación de miles de personas en zonas costeras y de montaña.
El gobierno jamaiquino mantiene en operación más de un centenar de refugios y ha cerrado los aeropuertos internacionales ante la inminencia del impacto.
La tormenta avanza lentamente, a unos 6 kilómetros por hora en dirección norte-noreste, lo que aumenta el riesgo de acumulación extrema de agua y prolonga la exposición de la isla a los vientos huracanados.
Las autoridades advierten sobre una marejada ciclónica de varios metros, capaz de inundar amplias zonas costeras y generar daños estructurales severos.
“Estamos ante un fenómeno potencialmente catastrófico. Instamos a la población a no salir de sus casas y mantenerse a salvo en los refugios”, declaró el primer ministro Andrew Holness en un mensaje televisado de emergencia.
La población se ha volcado a los supermercados y gasolineras desde la noche anterior, mientras brigadas militares y voluntarios trabajan para reforzar techos, retirar escombros y asegurar embarcaciones en los puertos del sur.
De acuerdo con los modelos de trayectoria, una vez que Melissa atraviese Jamaica, se espera que continúe su avance hacia el oriente de Cuba y posteriormente se desplace rumbo a las Bahamas, manteniendo aún una fuerza devastadora.
Sin embargo, la lenta velocidad del sistema podría dejar a Jamaica bajo condiciones extremas durante más de doce horas consecutivas.
El impacto de Melissa ocurre en medio de un Atlántico excepcionalmente cálido, factor que, según expertos, ha alimentado la intensidad del fenómeno. “El calentamiento oceánico está amplificando huracanes que antes hubieran perdido fuerza antes de llegar a tierra”, advirtió el meteorólogo Bryan Norcross.
Con ráfagas que ya superan los 300 km/h en zonas costeras y lluvias torrenciales que inundan carreteras y comunidades, Jamaica enfrenta ahora las últimas horas antes del golpe directo de Melissa, un huracán que amenaza con reescribir la historia climática del Caribe.
